12 years ago today, tornado hit Dundee during outbreak of 53 storms in Midwest
Twelve years ago, 53 tornadoes touched down in the Midwest, including eight that hit Michigan. Of the tornados Michigan experienced on June 5-6, 2010, the most notable was in Dundee.
Trail of storm damage left behind by afternoon's severe weather
“All of the sudden it got really dark and it was super windy and the next thing I know, my mom is yelling the tree fell," said Kayce Hurt.
Wayne County Severe Thunderstorm Warning expires
A Severe Thunderstorm Warning in Wayne County has expired.
NOAA forecasts above-average 2022 Atlantic hurricane season with up to 21 named storms
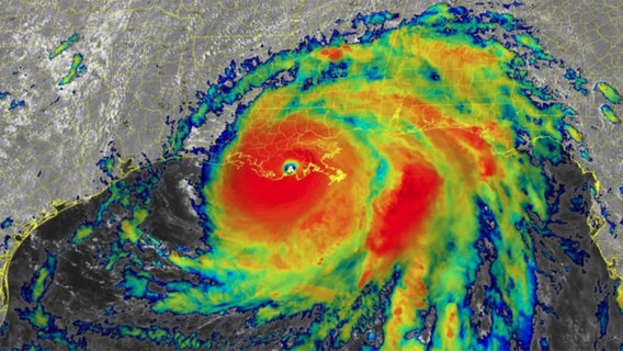
A little more than a week away from the start of the Atlantic hurricane season, the National Oceanic and Atmospheric Administration released its outlook for the 2022 season, predicting an above-average number of named storms.
FEMA grants expedited assessment for Gaylord tornado damage
FEMA has agreed to an exepedited review of the damage caused by the tornado in Gaylor on Friday, May 20.
Royal Oak firefighters head up north to Gaylord to help with tornado cleanup
Two people died and dozens more were injured Friday when an incredibly rare EF 3 tornado ripped through the city of Gaylord. With wind speeds of up to 150 MPH, the tornado left a 16-mile-long path of destruction.
Helping Gaylord after the tornado; cleanup and support effort from afar
People are being discouraged by MDOT and others to avoid Gaylord this weekend. Here are a few ways to help the ravaged city without setting foot in it.
Gaylord tornado: 2 dead after police find another victim overnight in northern Michigan city
Michigan State Police said the Gaylord tornado that touched down Friday killed two people. The second victim was found in a home overnight.
'It's devastating': Significant damage reported after tornadoes move through Kansas
Only minor injuries have been reported at this time
Beware the 'I' storm: It has more retirees than any other letter used for Atlantic hurricane names
Tweleve 'I' storms have been retired in the Atlantic – 10 of them since 2001.
Watch: Storm chaser video shows moment lightning strikes car during Iowa tornado
A storm chaser in Iowa captured a “once in a lifetime” video of lightning striking his friend’s car during a tornado.
Hail larger than grapefruits falls over Central Texas
The 5.5-inch hailstone fell in Salado, Texas.
Forecasters predict 19 named storms for Atlantic hurricane season for 7th straight above-average season
The experts at Colorado State University expect the 2022 Atlantic Basin hurricane season to be another one for the record books.
Severe storms shift east after pummeling US South, killing at least 2 in Florida
Severe storms ripped across the Deep South overnight, killing at least two in the Florida Panhandle, as the threat now moves toward the East Coast.
All About Lightning
Beautiful to look at but potentially deadly to be around, lightning doesn't have to strike you directly to harm or kill. In this Weather or Not, Meteorologist Lori Pinson discusses lightning formation and hazards.
All About Hail
No one likes to see this severe weather hazard especially since hail damage costs are near 22 billion dollars a year in the United States! Meteorologist Lori Pinson explains hail formation and precautions.
'I was speechless': 16-year-old who drove red truck through Texas tornado describes event
FOX 7 Austin spoke with the teen driver who drove his red truck through a Texas tornado on Monday. He described the shocking event.
New Orleans tornado kills 1, cuts path of destruction through suburbs
Louisiana activated 300 National Guard personnel to clear roads and provide support after severe storms hit the area, spawning deadly tornadoes.
NWS postpones Michigan statewide tornado drill due to potentially severe weather Wednesday
Michigan's statewide tornado drill has been postponed by the National Weather Service. However, some communities may still activate their tornado alerts on Wednesday.
Driver captures video as tornado touches down in New Orleans
Multiple tornadoes spurred from a storm that moved across Louisiana, Texas, and Oklahoma Tuesday night.


















